一大早,椰子的朋友圈就被刷屏了

台风“山竹”登陆中国沿海了啊啊啊

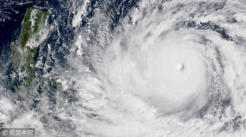
图源:央视新闻
中央气象台
发布了本年度第二个台风红色预警
“山竹”有多强是可想而知
因为!上一次启动台风红色预警
那个场景大家还记得呢……

今天,“风魔”将登陆中国! 沿海的小伙伴一定要注意安全
预计受影响的城市
全部都严阵以待,商场都关门了!

危险地点全员撤离!
商户停业,外卖停送!

强风!暴雨!肆虐!
远在新加坡的我们不禁问一句
广州深圳香港澳门福建等地小伙伴……
你们还好吗?

暴雨将至,狂风肆虐!

沿海小伙伴的安危牵动着
海外椰友们的心

椰子也整理了网上发布的
一些第一手资料
直播!台风“山竹”登陆情况
黑压压的乌云
预示著暴风雨之前的宁静

雨伞都被吹跑了
人在大自然的神力之下犹如蝼蚁

阳台镶嵌的晒衣杆都吹掉了

屋顶都要被刮没了

网传视频的场面十分骇人!

发大水了,根本无法行车行人

高能预警!避免外出!
家家户户紧锁门窗
做好台风来袭之前的准备!

风力太强了!
网传视频片段触目惊心
据说这是在香港
正在施工的建筑被吹个稀烂

大风!大雨!大浪!

广东深圳大梅沙海滨公园
已经沦陷在风魔强大的威力之下

卫生间都“井喷”了!!!

人类的肉身根本扛不住
在风魔面前毫无招架之力!

看这大树和人的比例:
根深不如强风
瞬间被吹倒!
网传来自创新南山的现场
大家千万别出门了!

太震撼了,瑟瑟发抖!

广东,福建,香港,澳门现况
广东今天的高铁全部停运
深圳和珠海机场也取消全部航班
【广东】
广东汕头海边掀起5米大浪

图源:视觉中国
茂名至汕尾一带红色预警
这是新预警制度以来
广东省最大规模的台风预警
图源:广东天气
【福建】
预计山竹会给福建沿海
带来严重风暴潮
福建五万渔业人员撤离
万余艘渔船回港避风

图源:中新网
【香港】
上午九点,香港天文台
发布了黄色暴雨警告信号
香港紧急挂起了“十号风球”
“十号风球”是香港最高级别
热带气旋警告信号

来源:中央电视台
【澳门】
十号风球意味着
公共服务相继暂停,学校停课
全城预警!严阵以待!

来源:中央电视台
警告
中午12点,来自深圳交警
机动训练大队消息

消息称,深圳已“淹没在7级风圈之中
随后进入10级风圈辐射范围

深圳全市计程车已全部停运

应急管理部:24小时应急备战状态

广州:停市停业 !
来源:广州日报
【航班情况】
包括新航、国泰、酷航等
多家航空公司已宣布取消航班
香港国泰航空
包括旗下港龙在内
共400多班航班将取消

在广州白云机场起飞的
众多航班已取消或延误
至少12架航班延误
取消近300多航班

但是据说仍有航班照旧起飞了
一个是俄罗斯的航班
一个是新加坡的大!新!航!

各地航班受影响程度不同
各位椰友出行以航空官方信息为主
一定要留心!留意!
风魔“山竹” 到底有多可怕?
要知道,昨天“山竹”还没来
沿海地区的小伙伴防灾的心态
还是非常轻松和乐观的!
花式封条

花式封印



各种花式P图
乐观!

然而大家意识到
风魔的可怕之处之后
就没有这么乐观了

不过上面这个网传动图
被中国气象局 打脸了
这个不是台风“山竹”

然而不管怎么说
山竹风魔,可不是这样的!

而是这样的!
光是风眼就跟一个城市差不多大

图源:视觉中国
所到之处,是这样的!!!

心态好归心态好
台风可不是开玩笑,要认真对待!
【菲律宾受灾程度】
要知道菲律宾可不是
正面扛山竹
已经是被肆虐成这样了

房屋倒塌

城市被肆虐
虽然山竹在穿过菲律宾后
因吕宋岛的高山导致其结构被破坏
进入南海区域时
“山竹”的风力已削弱为15级
但,昨天预计受影响的
中国沿海各地小伙伴不敢怠慢
在心态好各式p图的同时
昨晚,开始了周全的准备!

【封门窗】


【备货,超市一空】



严阵以待!

“山竹”会影响新加坡吗? 这里为什么没有台风?
一方面担心沿海地区
小伙伴们的安危
另一方面,新加坡的椰友们
也有点瑟瑟发抖
在闻台风丧胆的东南亚
和菲律宾比邻
新加坡会受到大风魔的影响么?

新加坡基本上是不会受到
台风的侵袭的
首先,来看新加坡的地理位置

新加坡位于赤道以北137公里处
特点就是气候炎热
雨量充足、空气潮湿
被赤道横穿,这也洽洽是
新加坡没有台风的原因!

原来,形成台风需要
温度高于26℃的海洋
这一点赤道的海洋完全符合
但是形成台风还必须要有
足够大的地球自转产生的偏向力
暖气团才能转起来
而地转偏向力在赤道附近接近于零
所以赤道无台风
新加坡无台风

新加坡离台风最近的一次
2001年12月26日
热带风暴“画眉”在海上形成后
沿着马来西亚最东南端登陆
造成了5人伤亡
台风画眉登陆马来西亚的地方
距离新加坡非常近
只有60公里

这,可能是新加坡离台风最近的一次!
新加坡是有惊无险地逃过一劫
但是后面想一想,台风画眉本来
几乎是不可能发生的事
但还是发生了
so大自然,谁说的准呢?
不过,新加坡确实是远离
各种自然灾害的 安全岛
为何如此?椰子之前也深扒过
突发:斐济8.3级地震!印尼6.3级地震!为什么新加坡不震?
新加坡到底有自然灾害吗?

椰子也不是气象学家
不知道山竹“淫威”会肆虐多久
但是,这个实实在在的风魔
让我们深知自然值得敬畏
预防大于“治疗”

广州深圳香港
澳门福建等地小伙伴……
请你们一定注意安全
平平安安!

如果觉得我的文章对您有用,请随意打赏。你的支持将鼓励我继续创作!